← Swansea Council

Status

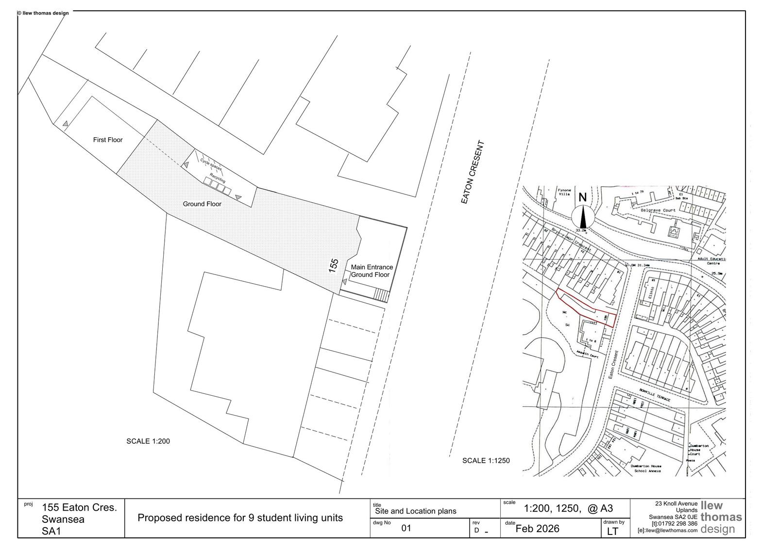
Being Considered Change of use
Received
17 Feb 2026
New homes
9

Full proposal

Change of use from Care Home (Class C2) to 9 bed unit HMO

Documents

Dogfen Gyfredol - Current Document
Archived · Original link
Dogfen Gyfredol - Current Document
Archived · Original link
Dogfen Gyfredol - Current Document
Archived · Original link
Dogfen Gyfredol - Current Document
Archived · Original link
Dogfen Gyfredol - Current Document
Archived · Original link

Have your say

Your comment matters. Councils must consider every representation that raises material planning considerations.

Write a comment