← Newport City Council

Status

Decided Change of use
Received
07 Oct 2024
New homes
0

Full proposal

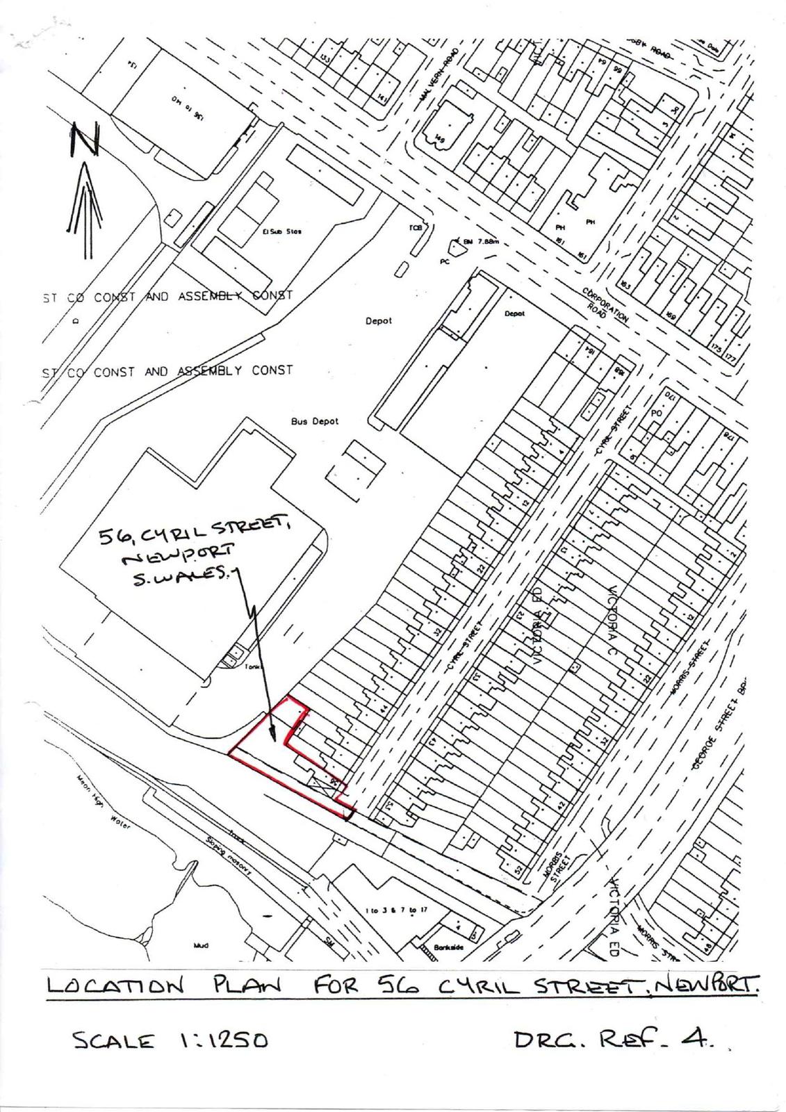
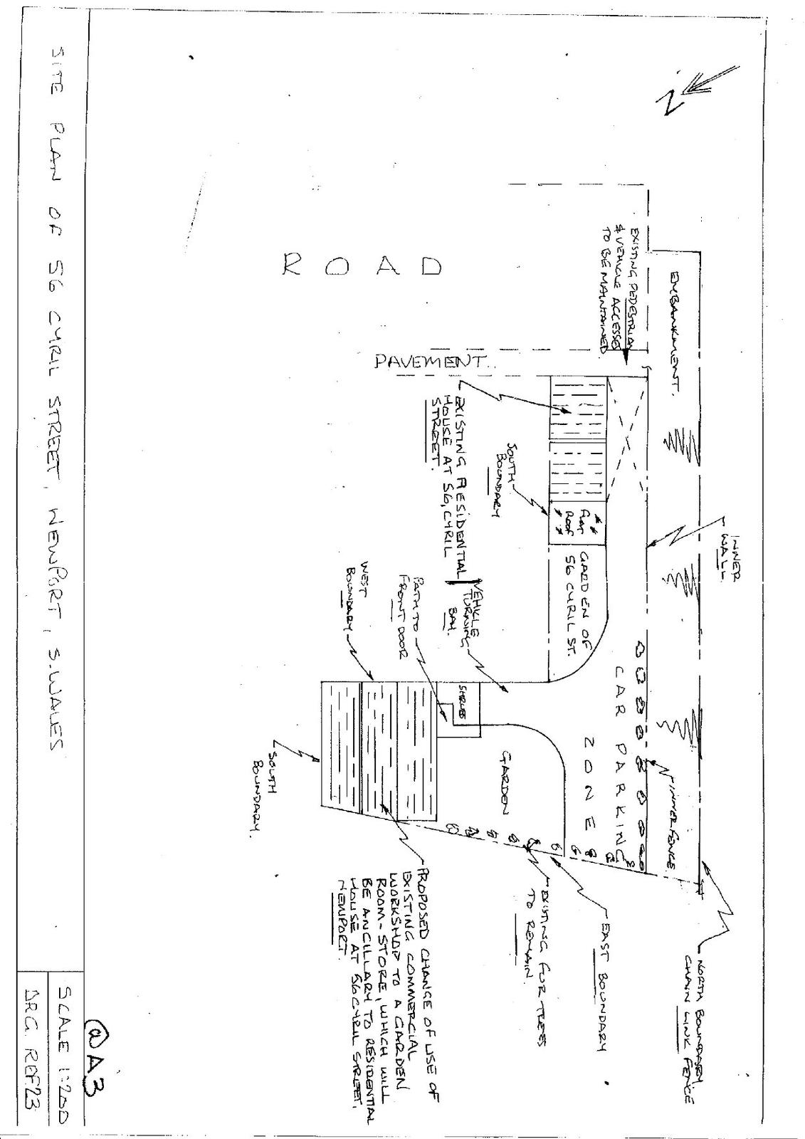
PROPOSED CHANGE OF USE OF COMMERCIAL WORKSHOP AND ASSOCIATED LAND TO RESIDENTIAL USE IN ASSOCIATION WITH THE DWELLING AT 56 CYRIL STREET

Documents

Application Form
Application Form
Not yet archived · Original link
Decision Notice
Decision Notice
Not yet archived · Original link
DRG.21 - Existing Floor Plans and Elevations
Drawing
Not yet archived · Original link
Drawing
Archived · Original link
Drawing - OS Site Location Plan
Archived · Original link
Highways Officer Consultation Response
Consult Response Statutory
Not yet archived · Original link
NRW Consultation Response
Consult Response Statutory
Not yet archived · Original link
Officer Report - Delegated
Officer Report
Not yet archived · Original link
Site Notice - SNSTD
Site/Press Notice
Not yet archived · Original link

Have your say

Your comment matters. Councils must consider every representation that raises material planning considerations.

Write a comment