← Lambeth

Status

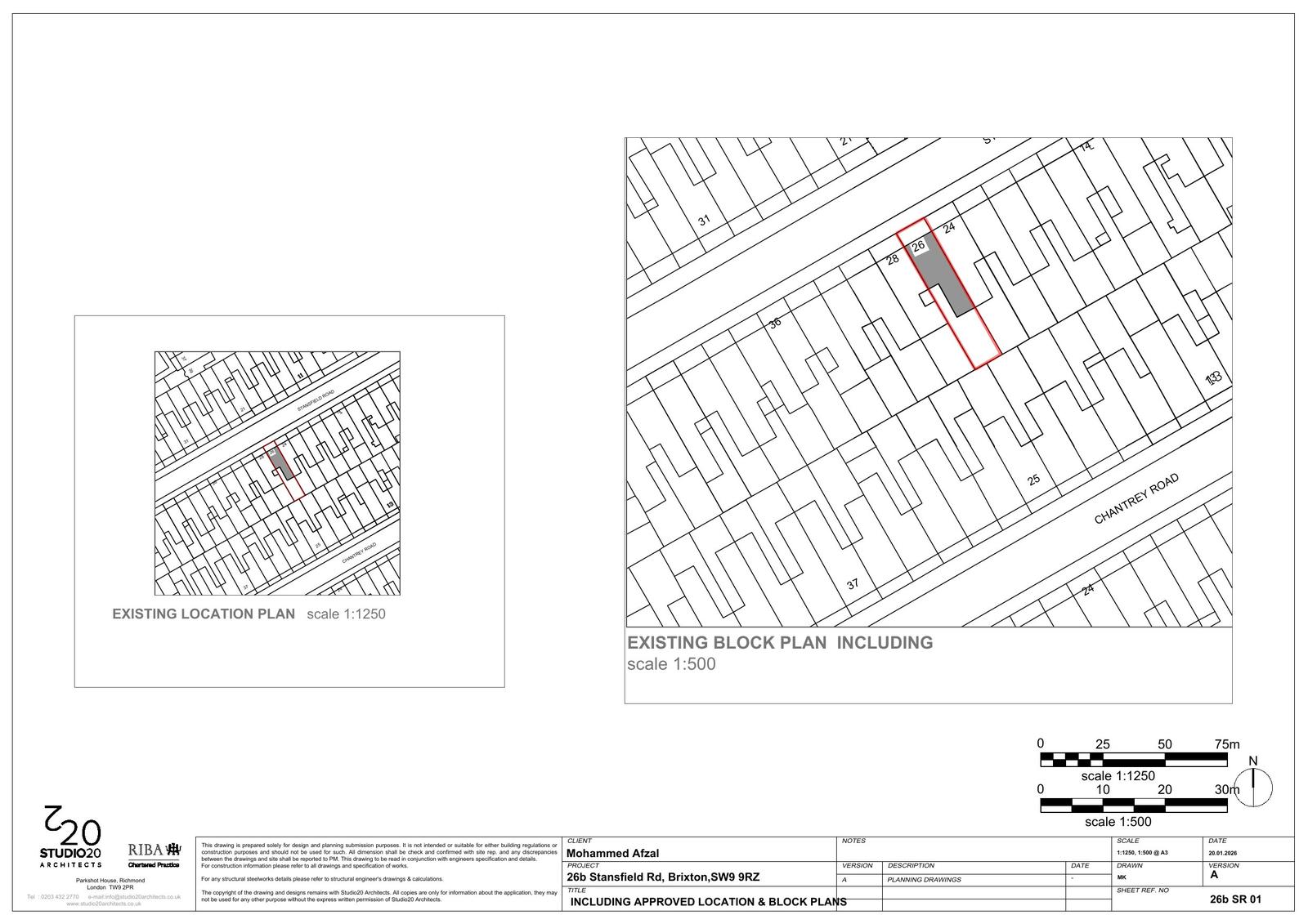
Awaiting decision House extension
Received
20 Jan 2026
New homes
0

Full proposal

Retrospective application for the conversion/excavation of the existing basement to provide ancillary accommodation, together with the installation of side roof lights to the rear extension to the Ground floor Flat.

Have your say

Your comment matters. Councils must consider every representation that raises material planning considerations.

Write a comment