← All councils

Recent applications

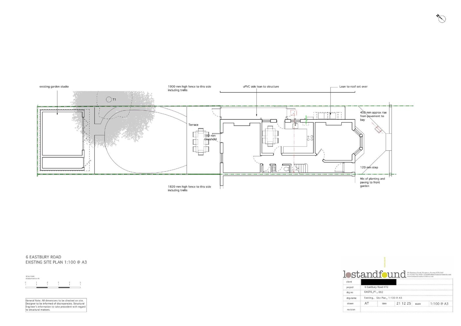
The most recent records we hold for this council (up to 200).

Installation of 3nos rooflights on flat roof. Renewal of the existing timber balcony railing structure

Type House extension
Status Pending Decision
Received 31 Dec 2025

Demolition of an existing shed, conversion of an existing garage into habitable space, erection of single storey front and rear, first floor...

Type House extension
Status Pending Decision
Received 17 Dec 2025
Plan thumbnail

Erection of single storey rear extension. Conversion of garage to habitable room with associated changes to fenestrations. Erection of front...

Type House extension
Status Pending Consideration
Received 29 Dec 2025
Plan thumbnail

Erection of two storey rear and first floor rear extension. Piggy back roof extension with full length above new rear extension. Raising roo...

Type House extension
Status Pending Consideration
Received 17 Dec 2025
Plan thumbnail

Loft extension and internal alterations to existing commercial property. Erection of 4 storey rear extension and internal alterations to pro...

Type Commercial
Status Pending Consideration
Received 18 Nov 2025
Plan thumbnail

Erection of part two storey side extension to west elevation; single storey side extension to east elevation, basement extension and changes...

Type House extension
Status Pending Consideration
Received 18 Sep 2025
Plan thumbnail

Erection of single storey rear extension

Type House extension
Status Pending Consideration
Received 26 Jan 2026
Plan thumbnail

Erection of hip to gable and rear dormer roof extension with front rooflights to facilitate loft conversion

Type House extension
Status Pending Consideration
Received 26 Jan 2026
Plan thumbnail

Demolition of single storey side extensions and erection of single storey side and front porch extensions

Type House extension
Status Pending Consideration
Received 26 Jan 2026
Plan thumbnail

Erection of partial double hip to gable and rear dormer roof extensions with installation of 3nos. front rooflights to facilitate loft conve...

Type House extension
Status Pending Decision
Received 21 Jan 2026
Plan thumbnail

Erection of a single storey rear wrap-around extension. Roof extension with rear dormer, replacement windows, removal of rear chimneys. Inte...

Type House extension
Status Pending Consideration
Received 23 Dec 2025

Erection of single storey rear and side extension. Conversion of loft space with piggy-back roof extension with rear juliet balcony. Install...

Type House extension
Status Pending Decision
Received 04 Dec 2025

Erection of a single-storey front porch extension with pitched roof and materials to match the existing property.

Type House extension
Status Pending Decision
Received 02 Dec 2025
Plan thumbnail

Erection of a single storey side extension

Type House extension
Status Pending Consideration
Received 30 Dec 2025
Plan thumbnail

Erection of single storey rear extension (6.0m in depth, maximum height of 3.1m and eaves height of 2.7m)

Type House extension
Status Pending Consideration
Received Last month
Plan thumbnail

Erection of single storey rear extension (Maximum 6.0m in depth, maximum height of 3.41m and eaves height of 2.90m)

Type House extension
Status Pending Consideration
Received Last month
Plan thumbnail

Erection of rear dormer with 3No. Roof lights on front elevation

Type House extension
Status Pending Consideration
Received 09 Feb 2026
Plan thumbnail

Demolition of garage and erection of two-storey side and single-storey rear extension (Part retrospective)

Type House extension
Status Pending Consideration
Received 23 Jan 2026
Plan thumbnail

Erection of a first floor side extension and single storey rear extension incorporating internal reconfigurations

Type House extension
Status Pending Consideration
Received Last month
Plan thumbnail

Demolition of detached garage and single storey rear extension. Erection of single storey front, rear/side extension and part first floor re...

Type House extension
Status Pending Consideration
Received Last month
Plan thumbnail

Erection of externally accessed single storey side extension

Type House extension
Status Pending Consideration
Received Last month
Plan thumbnail

Erection of single storey rear extension (Maximum 4.0m in depth, maximum height of 3.0m and eaves height of 2.70m)

Type House extension
Status Pending Consideration
Received Last month
Plan thumbnail

Erection of single storey rear and side, and part first floor rear extensions. Hip to gable and rear dormer roof extensions with Juliet balc...

Type House extension
Status Pending Consideration
Received Last month
Plan thumbnail

Erection of hip to gable roof extension and rear dormer with 2No. Roof lights to front elevation

Type House extension
Status Pending Consideration
Received Last month
Plan thumbnail

Erection of single storey front, side, rear and first floor side/rear extension.

Type House extension
Status Pending Consideration
Received Last month
Plan thumbnail

Hip to gable loft extension and conversion with dormer to rear with Juliet balcony

Type House extension
Status Pending Consideration
Received Last month
Plan thumbnail

Erection of hip to gable loft extension and rear dormer with Juliet balcony. 2No. Roof lights to front & single storey rear extension and al...

Type House extension
Status Pending Consideration
Received 13 Feb 2026
Plan thumbnail

Erection of single storey rear extension (4.91m in depth, maximum height of 3.57m and eaves height of 2.63m)

Type House extension
Status Pending Decision
Received 12 Feb 2026
Plan thumbnail

Extension of existing loft dormer over part of rear outrigger

Type House extension
Status Pending Consideration
Received 12 Feb 2026
Plan thumbnail

Demolition of an existing rear porch and erection of two storey rear extension with steps leading down to the garden. Erection of single sto...

Type House extension
Status Pending Consideration
Received 03 Feb 2026
Plan thumbnail

Erection of single storey rear extension

Type House extension
Status Pending Decision
Received 02 Feb 2026
Plan thumbnail

Demolition of an existing detached garage, erection of a single storey front porch, rear and side extension. Fenestration alteration

Type House extension
Status Pending Consideration
Received 28 Jan 2026
Plan thumbnail

Demolition of single storey side extension and erection of part single/part two storey side extension to create 1no. two bed dwelling with a...

Type New housing
Status Pending Consideration
Received 20 Jan 2026
Plan thumbnail

Raising roof ridge height, alterations to roof, erection of rear and side dormer roof extensions, and hip to gable side extension with insta...

Type House extension
Status Pending Consideration
Received 15 Jan 2026
Plan thumbnail

Conversion of single dwelling house into 2nos. self-contained flats, including subdivision of the rear garden to provide private amenity spa...

Type Change of use
Status Pending Consideration
Received 13 Jan 2026
Plan thumbnail

Demolition of single storey rear extension and erection of single storey rear and side extension.

Type House extension
Status Pending Consideration
Received 07 Jan 2026
Plan thumbnail

Demolition of an existing side extension and garage, erection of two storey side, single storey rear with roof terrace and front porch exten...

Type House extension
Status Pending Consideration
Received 05 Jan 2026
Plan thumbnail

Erection of single storey rear and single storey front porch extensions

Type House extension
Status Pending Consideration
Received 03 Dec 2025
Plan thumbnail

Erection of rear roof dormer extension with installation of 3nos. front rooflights to facilitate loft conversion

Type House extension
Status Pending Consideration
Received 10 Nov 2025
Plan thumbnail

Conversion of dwelling to 2nos. self contained flats. Erection of single storey rear and side infill extensions, and rear piggy back roof ex...

Type Change of use
Status Pending Consideration
Received 29 Oct 2025
Plan thumbnail

Erection of hip to gable roof extension with rear dormer and installation of 1no front rooflight.

Type House extension
Status Pending Consideration
Received 25 Sep 2025
Plan thumbnail

Erection of single storey rear extension (4.0m in depth, maximum height of 3.2m and eaves height of 2.9m)

Type House extension
Status Pending Consideration
Received Last month
Plan thumbnail

Erection of single storey rear extension (Maximum 5.0m in depth, maximum height of 3.0m and eaves height of 3.0m)

Type House extension
Status Pending Consideration
Received Last month
Plan thumbnail

Erection of single storey rear extension (Maximum 8.0m in depth, maximum height of 3.40m and eaves height of 2.50m)

Type House extension
Status Pending Consideration
Received Last month
Plan thumbnail

Demolition and removal of existing buildings and structures. Redevelopment of site comprising five separate residential buildings to provide...

Type New housing
Status Pending Decision
Received 25 Nov 2024
Plan thumbnail

Erection of L shaped dormer and 2No. Roof lights to front elevation

Type House extension
Status Pending Consideration
Received Last month
Plan thumbnail

Demolition of existing dwelling and erection of 1no. two storey detached dwelling

Type New housing
Status Pending Consideration
Received 22 Dec 2025
Plan thumbnail

Change of use from ground floor retail unit (Use Class E(a)) to 1no. one bed flat (Use Class C3) with changes to fenestrations.

Type Change of use
Status Pending Consideration
Received 08 Dec 2025
Plan thumbnail

Demolition of attached garage with flat roof and erection of single storey side extension with pitched roof.

Type House extension
Status Pending Consideration
Received 10 Feb 2026
Plan thumbnail

Conversion of single dwelling house into 2nos. self-contained flats. Changes to rear fenestrations.

Type Change of use
Status Pending Consideration
Received 05 Feb 2026
Plan thumbnail

Conversion of a single dwellinghouse into 2nos self-contained flats, erection of a hip-to-gable roof extension with rear dormer. Subdivision...

Type Change of use
Status Pending Consideration
Received 18 Dec 2025
Plan thumbnail

Demolition of shed and rear sunrooms. Erection of single storey rear extension, hip to gable and rear dormer roof extensions to facilitate l...

Type Change of use
Status Pending Consideration
Received 01 Jan 2026

Change of use from dwelling (Use Class C3) to HMO (Use Class C4)

Type Change of use
Status Pending Decision
Received 12 Jan 2026
Plan thumbnail

Enlargement of existing rear dormer roof window, conversion of single dwelling into 3nos. apartments over ground, first and second floors. C...

Type Change of use
Status Pending Consideration
Received 09 Dec 2025
Plan thumbnail

Demolition of detached house and garage and erection of a pair of 2nos. 4 bedroom semi-detached houses with associated bins and cycle provis...

Type New housing
Status Pending Consideration
Received 08 Dec 2025
Plan thumbnail

Demolition of detached garage and erection of two storey side and single storey rear extensions to facilitate the change of use from dwellin...

Type Change of use
Status Pending Consideration
Received 03 Nov 2025

2025/2765 - Cross boundary outline application with Royal Borough of Kingston upon Thames: Development within Elmbridge includes highway wor...

Type New housing
Status Pending Consideration
Received 22 Dec 2025
Plan thumbnail

Outline planning permission for demolition of vacant residential care home and erection of 80 bed residential care home with associated bins...

Type Commercial
Status Pending Consideration
Received 01 Dec 2025
Plan thumbnail

Outline phased mixed-use development including C2/C3 homes, non-residential uses and open space.

Type New housing
Status Pending Consideration
Received 23 Oct 2025

Add third floor creating 2 two‑bed and 3 one‑bed apartments (5 units).

Type New housing
Status Pending Consideration
Received 13 Aug 2025
Plan thumbnail

Demolition and redevelopment to provide four new homes with amenity, landscaping, parking.

Type New housing
Status Pending Consideration
Received 15 Jul 2025
Plan thumbnail

Removal of an existing pitched roof, erection of fourth floor extension to create 2no dwellings with a bike store.

Type New housing
Status Pending Decision
Received 04 Sep 2024
Plan thumbnail

Change of use from nursery to two four-bedroom residential units with extensions and loft conversion.

Type Change of use
Status Pending Consideration
Received 27 Aug 2025
Plan thumbnail

Demolish existing house, build 3-storey with 6 dwellings and improve access.

Type New housing
Status Pending Consideration
Received 25 Aug 2025
Plan thumbnail

Mixed-use building with ground-floor Class E and 34 flats, public realm improvements and solar panels.

Type New housing
Status Pending Consideration
Received 15 Aug 2025
Plan thumbnail

Demolish Regent Wing; build three blocks providing 150 apartments with landscaping, parking and access improvements.

Type New housing
Status Pending Consideration
Received 18 Aug 2025
Plan thumbnail

Outline application for demolition of current Garden Centre and associated buildings and redevelopment of the site for a Class E(a) retail s...

Type Commercial
Status Pending Consideration
Received 26 Nov 2025
Plan thumbnail

Change of use of part of ground floor office to create 2nos residential units with external alterations at ground floor

Type Change of use
Status Pending Decision
Received 11 Nov 2025
Plan thumbnail

Demolition of existing detached house and erection of new detached property.

Type Demolition
Status Pending Consideration
Received 12 Nov 2025
Plan thumbnail

Demolition of existing rear and lean to side extension. Erection of a single storey rear and side extension. Replacement of side metal raile...

Type House extension
Status Pending Consideration
Received 31 Dec 2025
Plan thumbnail

Demolition of garage and erection of two-storey side extension, part single/part two-storey rear extension, and rear dormer roof extension w...

Type Change of use
Status Pending Consideration
Received 29 Dec 2025
Plan thumbnail

Alteration of the existing mews house /maisonette, erection of first floor courtyard side extension.

Type House extension
Status Pending Consideration
Received 12 Dec 2025
Plan thumbnail

Internal alterations and repairs to reinstate to original uses (Use Class C3 and E). Installation of bin store, new residential amenity spac...

Type Other
Status Pending Consideration
Received 12 Nov 2025
Plan thumbnail

Part demolition of existing building and redevelopment of the site to provide a part-four, part three, part one-storey building, with 9 resi...

Type New housing
Status Pending Consideration
Received 13 Jan 2026

Change of use of part of the ground floor, part of the first floor and the second floor of Meadway House from vacant commercial floorspace (...

Type Change of use
Status Pending Consideration
Received 03 Dec 2025

Internal alterations and associated changes to fenestrations. Conversion of HMO (Use Class C4) to 2nos. self-contained flats (Use Class C3) ...

Type Change of use
Status Pending Consideration
Received 03 Dec 2025

Demolition of an existing house and erection of a new house with basement.

Type New housing
Status Pending Consideration
Received 06 Nov 2025

Use of the dwellinghouse for the occupation of up to two resident children, supported by visiting non-residential staff (Use Class C2), with...

Type Change of use
Status Pending Consideration
Received 18 Dec 2025
Plan thumbnail

Redevelopment of the site including demolition of existing rear structures and reconstruction and extension of upper floors to provide 7 res...

Type New housing
Status Pending Consideration
Received 10 Dec 2025
Plan thumbnail

Demolition of an existing detached garage and erection of a new dwelling house.

Type New housing
Status Unknown Appeal: Dismissed
Received 29 Dec 2023

Change of use from care home (C2) to specialist supported HMO (sui generis) with external alterations.

Type Change of use
Status Pending Consideration
Received 12 Jun 2025

Demolition and erection of four-storey building containing one commercial unit and seven flats.

Type New housing
Status Pending Consideration
Received 05 Aug 2025

Erection of a two-storey dwelling on land located at the rear of the site, including associated modifications to the existing dwelling, alon...

Type New housing
Status Pending Decision
Received 31 Jul 2025

Erect two new dwellings with associated driveway and landscaping.

Type New housing
Status Pending Consideration
Received 04 Jul 2025

Conversion of an existing side garage into habitable room, erection of single storey rear and first floor side extension. Change of use from...

Type Change of use
Status Pending Decision
Received 29 Sep 2025

Erection of two storey building comprising 2 x flats, amenity space, refuse storage and cycle storage

Type New housing
Status Pending Consideration
Received 24 Sep 2025

Convert single dwelling into two self-contained flats with rear extension and rear dormer.

Type Change of use
Status Pending Consideration
Received 19 Nov 2025

Retrospective two-storey side extension and garage demolition to form a two-bedroom dwelling; includes cycle and refuse storage.

Type New housing
Status Pending Consideration
Received 07 Oct 2025

Prior approval for change of use of offices to 20 residential units.

Type Change of use
Status Pending Decision
Received 14 Nov 2025

Outline application to change Class E to residential and provide one dwelling.

Type Change of use
Status Pending Decision
Received 12 Nov 2025

Hip-to-gable and rear dormer works to convert single dwelling into two self-contained flats, with storage provision.

Type Change of use
Status Pending Decision
Received 06 Nov 2025

Convert a single dwelling into two self-contained flats with extensions, dormer, and refuse/cycle storage.

Type Change of use
Status Pending Consideration
Received 04 Nov 2025

Demolition of single storey side and rear extensions. Erection of single storey rear and side wraparound extension, first-floor side extensi...

Type Change of use
Status Pending Consideration
Received 29 Oct 2025

Erection of side extension to create a 2 bed semi-detached dwelling.

Type New housing
Status Pending Consideration
Received 21 Nov 2025

Conversion of a single dwelling house into 2nos self-contained flats

Type Change of use
Status Pending Consideration
Received 26 Nov 2025

Erection of single storey side extension with infill to join garage to main house to form a bedroom for an elderly person. Conversion of an ...

Type House extension
Status Pending Consideration
Received 19 Nov 2025

Change of use of upper floors from commercial into a single residential dwelling classified as a large HMO (Sui Generis). Upward extension t...

Type Change of use
Status Pending Consideration
Received 04 Nov 2025

Part demolition of existing side extension, erection of single storey wrap-around side and rear extension. Hip to gable roof extension with ...

Type Change of use
Status Pending Consideration
Received 25 Sep 2025

Conversion of single dwellinghouse into two self-contained flats, including subdivision of the rear garden to provide private amenity space,...

Type Change of use
Status Pending Consideration
Received 15 Dec 2025

Conversion of house into two apartments with single-storey porch and rear extension.

Type Change of use
Status Pending Consideration
Received 22 Oct 2025

Enlargement and alterations to existing rear garage, providing home office and storage ancillary to the main house.

Type House extension
Status Pending Consideration
Received 01 Dec 2025

Prior approval to convert vacant ground-floor offices into three self-contained two-bedroom flats.

Type Change of use
Status Pending Consideration
Received 10 Nov 2025

Loft conversion, second-floor extension and new two-storey mews house to create three flats/houses.

Type New housing
Status Refused
Received 07 Aug 2025

Conversion of single dwelling into two self-contained flats with rear fenestration changes.

Type Change of use
Status Pending Consideration
Received 06 Aug 2025

Prior approval to change offices (Use Class E) to 20 residential units (Use Class C3).

Type Change of use
Status Refused
Received 15 Aug 2025

Conversion of single-family house into two self-contained flats with parking, cycle and refuse provision.

Type Change of use
Status Refused
Received 09 Sep 2025

Upward extension and change of use creating 6 flats (first–fourth floors); ground floor commercial retained.

Type New housing
Status Refused
Received 06 Jun 2025

Change student accommodation to 22 apartments (8 affordable) and a 90-bed hotel; façade alterations.

Type Change of use
Status Decided
Received 03 Jul 2025

Convert single dwelling into three apartments; enlarge dormer; part ground floor for veterinary admin.

Type Change of use
Status Refused
Received 02 Jul 2025

Permission in principle to build four new dwellings after demolishing stables and barn.

Type New housing
Status Refused
Received 25 Jul 2025

Subdivide house into two flats with rear/side extensions and roof/dormer alterations.

Type Change of use
Status Refused
Received 06 Jan 2025

Siting of two mobile homes in rear garden for ancillary residential use to the existing dwelling.

Type Change of use
Status Refused
Received 10 Jan 2025

Convert one-bedroom house into two one-bedroom flats with rear extension and internal alterations.

Type Change of use
Status Refused
Received 17 Jan 2025

Change of use from office to two one-bedroom flats with rear dormer and refurbishment.

Type Change of use
Status Refused Appeal: Dismissed
Received 16 Jan 2025

Three-storey building providing three residential flats, landscaping, and three parking spaces.

Type New housing
Status Refused
Received 16 Jan 2025

Two-storey rear extension for ground-floor commercial space; upper floors converted into two apartments.

Type Change of use
Status Refused
Received 22 Jan 2025

Convert single dwelling into two apartments; enlarge rear dormer; ground floor becomes ancillary vet admin.

Type Change of use
Status Refused
Received 22 Jan 2025

Change use from dwellinghouse (C3a) to residential care facility (C3b).

Type Change of use
Status Granted
Received 22 Jan 2025

Add two storeys to office block to create eight residential units.

Type New housing
Status Refused Appeal: Dismissed
Received 17 Feb 2025

Part demolition of dwelling and erection of two dwellings with basement, access, bin and cycle storage.

Type New housing
Status Refused
Received 18 Mar 2025

Erection of two mobile homes in rear garden for ancillary residential use.

Type Other
Status Refused
Received 28 Mar 2025

Convert single dwelling into two self-contained flats.

Type Change of use
Status Refused
Received 08 Apr 2025

Convert two one-bed flats into one four-bedroom dwelling; remove external staircase and alter side windows.

Type Change of use
Status Refused
Received 08 Apr 2025

Part single/part two-storey and part first-floor rear extensions to four flats and two additional parking spaces.

Type House extension
Status Granted
Received 22 Apr 2025

Convert single dwelling into two flats with single-storey rear extension, roof conversion, rear dormer and front rooflights.

Type Change of use
Status Granted
Received 02 May 2025

Convert two existing two-bedroom flats into six one-bedroom self-contained flats; demolish small rear extension.

Type Change of use
Status Refused
Received 12 May 2025

Demolish existing E use, erect two‑storey cafe and a six‑storey residential building at separate addresses.

Type New housing
Status Withdrawn
Received 16 May 2025

Basement, rear and side extensions plus rear dormer to form seven residential units with parking and storage.

Type New housing
Status Pending Decision
Received 16 May 2025

Add one storey to office block to create four residential units.

Type New housing
Status Granted
Received 27 May 2025

Demolition of single dwelling and erection of six new dwellings with associated works.

Type New housing
Status Granted
Received 27 May 2025