← Greenwich

Status

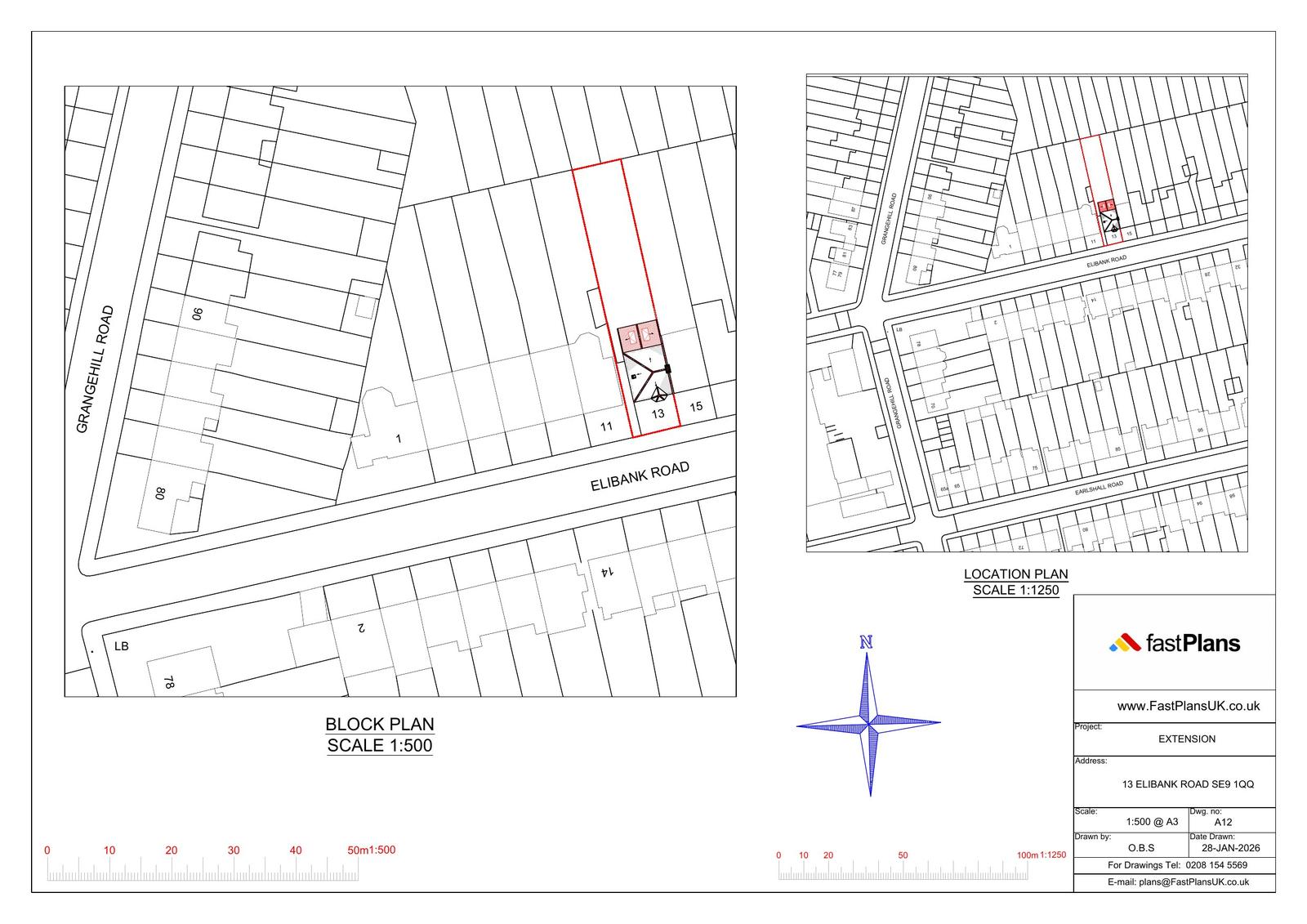
Registered House extension
Received
Last month
New homes
0

Full proposal

Demolition of existing and construction of a new single storey rear extension.

Documents

Correspondence
Archived · Original link
Photo
Archived · Original link

Have your say

Your comment matters. Councils must consider every representation that raises material planning considerations.

Write a comment