← Greenwich

Status

Registered Change of use
Received
Last month
New homes
0

Full proposal

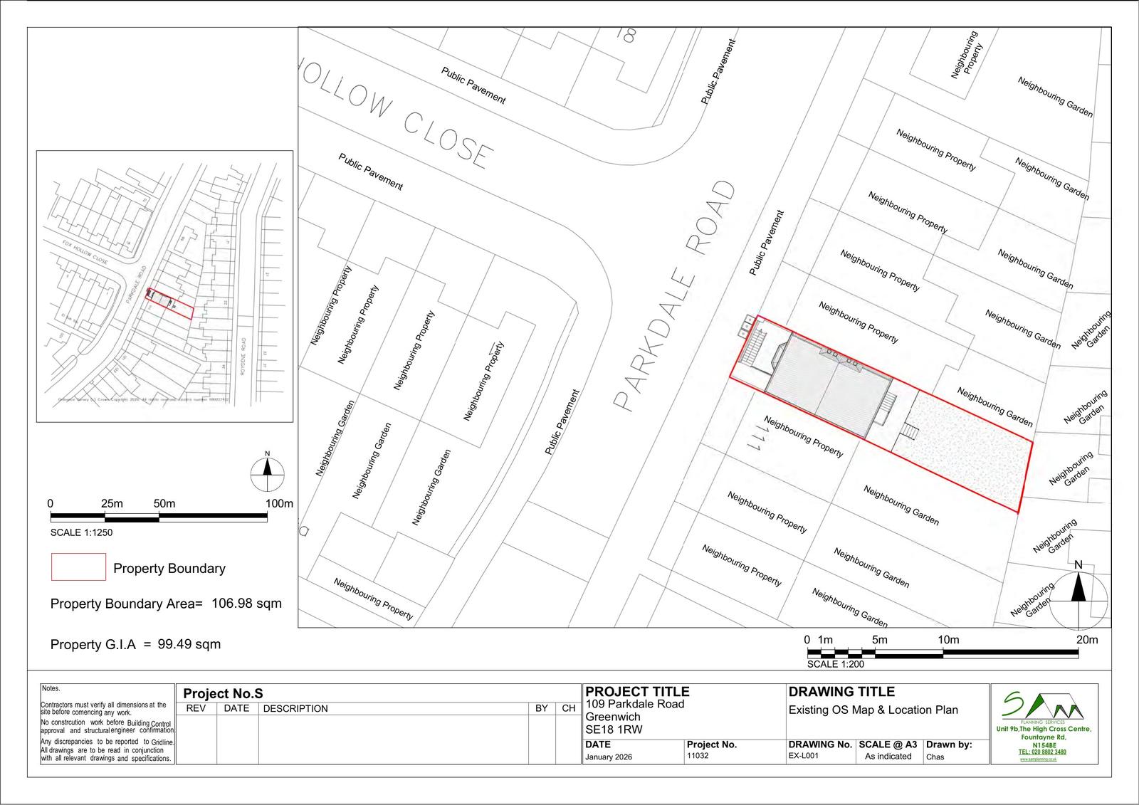
Change of use from an existing dwelling house (Use Class C3) to a 5-bed, 5-person HMO (Use Class C4), in addition to the erection of a rear dormer extension, provision of refuse and cycle storage, and all other associated works.

Have your say

Your comment matters. Councils must consider every representation that raises material planning considerations.

Write a comment