← Chichester District Council

Status

Unknown Change of use
Received
08 Dec 2025
New homes
1

Full proposal

Conversion from Retail Class E to Residential Class C3 to create 1 no. 3B6P dwelling.

Documents

AGENT COVER EMAIL FOR SUBSTITUTE PLANS RECEIVED 19.12.2025
Correspondence
Not yet archived · Original link
APPLICATION FORM
Application Form
Not yet archived · Original link
CDC SENIOR ENVIRONMENTAL HEALTH OFFICER
Consultee Comment
Not yet archived · Original link
CONSERVATION AND DESIGN
Consultee Comment
Not yet archived · Original link
Decision Notice
Decision Notice
Not yet archived · Original link
Delegated Report
Delegated Report
Not yet archived · Original link
DESIGN AND ACCESS STATEMENT
Application Documents
Not yet archived · Original link
HIGHWAYS, WSCC
Consultee Comment
Not yet archived · Original link
HRA SCREENING MATRIX
Application Documents
Not yet archived · Original link
PUBLIC COMMENT
Support Comment
Not yet archived · Original link
PUBLIC COMMENT
Support Comment
Not yet archived · Original link
PUBLIC COMMENT
Third Party Other
Not yet archived · Original link
SUBSTITUTE EXISTING FRONT ELEVATION RECEIVED 19.12.2025
Plan - Under Consideration
Not yet archived · Original link
SUBSTITUTE EXISTING GROUND FLOOR PLAN RECEIVED 19.12.2025
Plan - Under Consideration
Not yet archived · Original link
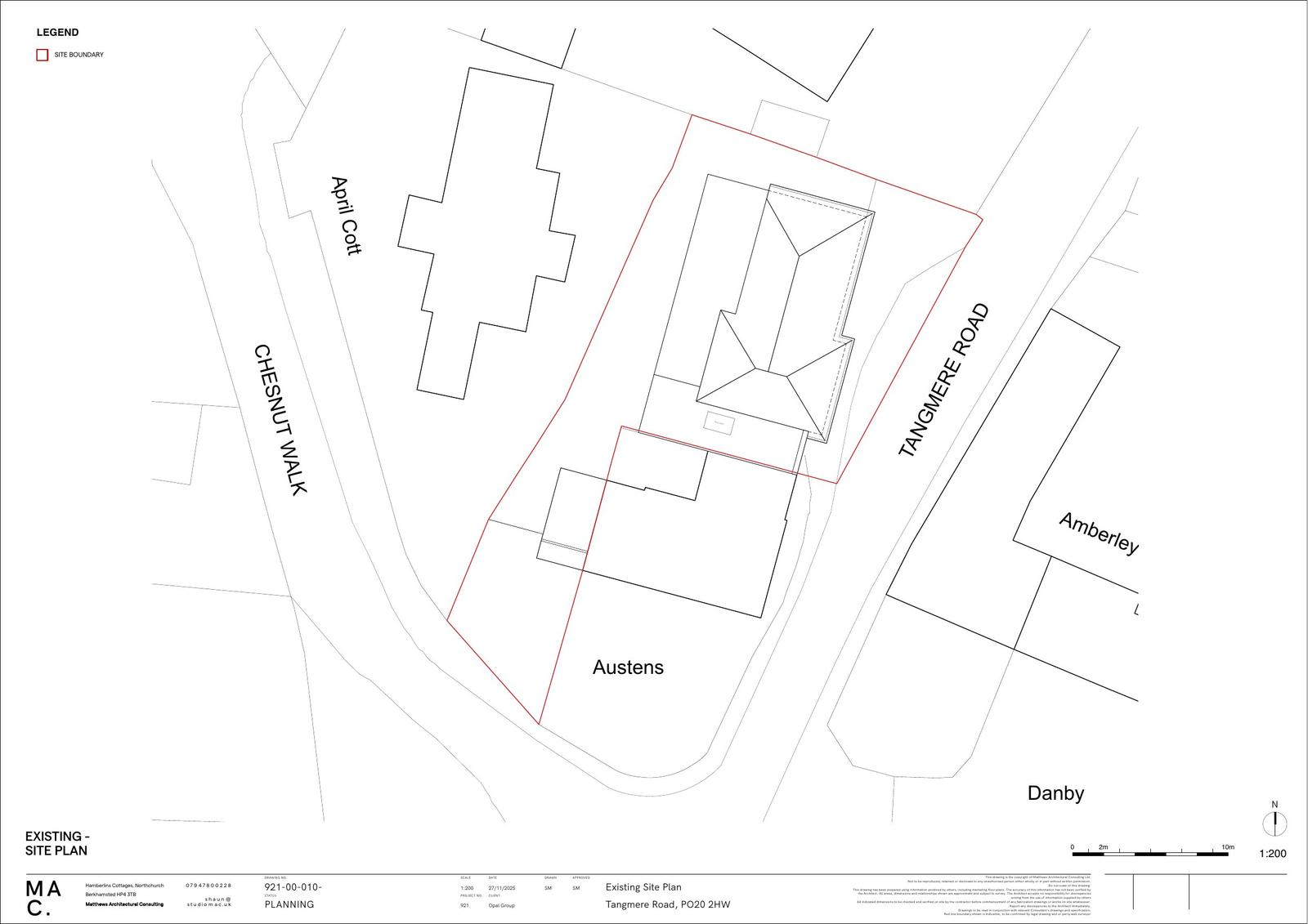
SUBSTITUTE EXISTING LOCATION PLAN RECEIVED 19.12.2025
Plan - Under Consideration
Not yet archived · Original link
SUBSTITUTE EXISTING REAR ELEVATION
Plan - Under Consideration
Not yet archived · Original link
SUBSTITUTE EXISTING SIDE ELEVATION
Plan - Under Consideration
Not yet archived · Original link
Plan - Under Consideration
Archived · Original link
SUBSTITUTE PROPOSED GROUND FLOOR PLAN RECEIVED 19.12.2025
Plan - Under Consideration
Not yet archived · Original link
SUBSTITUTE PROPOSED ROOF PLAN RECEIVED 19.12.2025
Plan - Under Consideration
Not yet archived · Original link
SUPERSEDED EXISTING FRONT ELEVATION
Plan - Superseded
Not yet archived · Original link
SUPERSEDED EXISTING GROUND FLOOR PLAN
Plan - Superseded
Not yet archived · Original link
SUPERSEDED EXISTING REAR ELEVATION
Plan - Superseded
Not yet archived · Original link
SUPERSEDED EXISTING REAR ELEVATION
Plan - Superseded
Not yet archived · Original link
SUPERSEDED EXISTING SIDE ELEVATION
Plan - Superseded
Not yet archived · Original link
SUPERSEDED EXISTING SIDE ELEVATION
Plan - Superseded
Not yet archived · Original link
Plan - Superseded
Archived · Original link
SUPERSEDED PROPOSED GROUND FLOOR PLAN
Plan - Superseded
Not yet archived · Original link
SUPERSEDED PROPOSED ROOF PLAN
Plan - Superseded
Not yet archived · Original link
SUPERSEDED SITE LOCATION AND BLOCK PLAN
Plan - Superseded
Not yet archived · Original link

Have your say

Your comment matters. Councils must consider every representation that raises material planning considerations.

Write a comment