← Barnsley Metropolitan Borough Council

Status

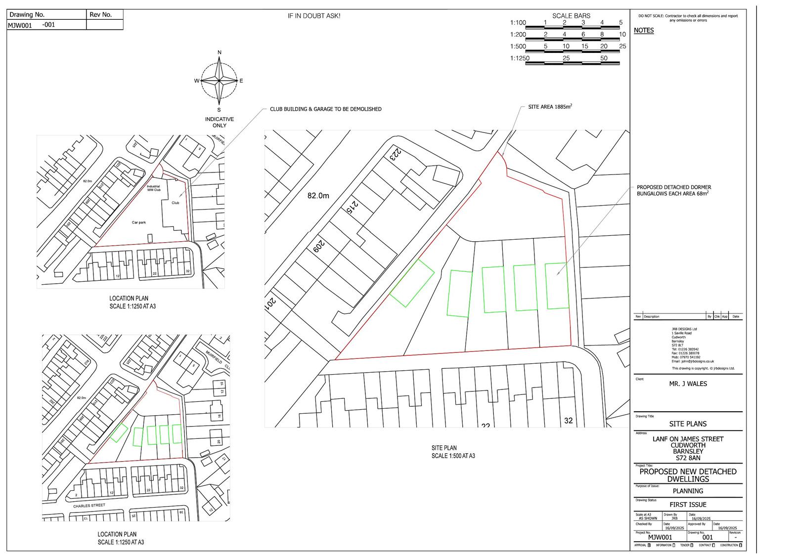
Registered Demolition
Received
13 Jan 2026
New homes
5

Full proposal

Demolition of existing club and associated garage and the construction of 5 new dormer bungalows.

Documents

20260028 Application Form Redacted.pdf ( 0.4 MB )
Uncategorised
Not yet archived · Original link
20260028 Biodiversity Net Gain Report.pdf ( 3.23 MB )
Uncategorised
Not yet archived · Original link
20260028 Block Plan.pdf ( 0.53 MB )
Uncategorised
Not yet archived · Original link
20260028 Design and Access Statement.pdf ( 0.05 MB )
Uncategorised
Not yet archived · Original link
20260028 Proposed Elevations.pdf ( 0.5 MB )
Uncategorised
Not yet archived · Original link
20260028 The Statutory Metric.xlsx ( 4.03 MB )
Uncategorised
Not yet archived · Original link

Have your say

Your comment matters. Councils must consider every representation that raises material planning considerations.

Write a comment